• Properties
  • Sell
  • Our family
  • Contact Us
  • Properties
  • Sell
  • Our family
  • Contact Us
  • To be contacted
  • (514) 597-2121

    • Properties
    • Sell
    • Our family
    • Contact Us
  • To be contacted
  • (514) 597-2121

    • X

      TV
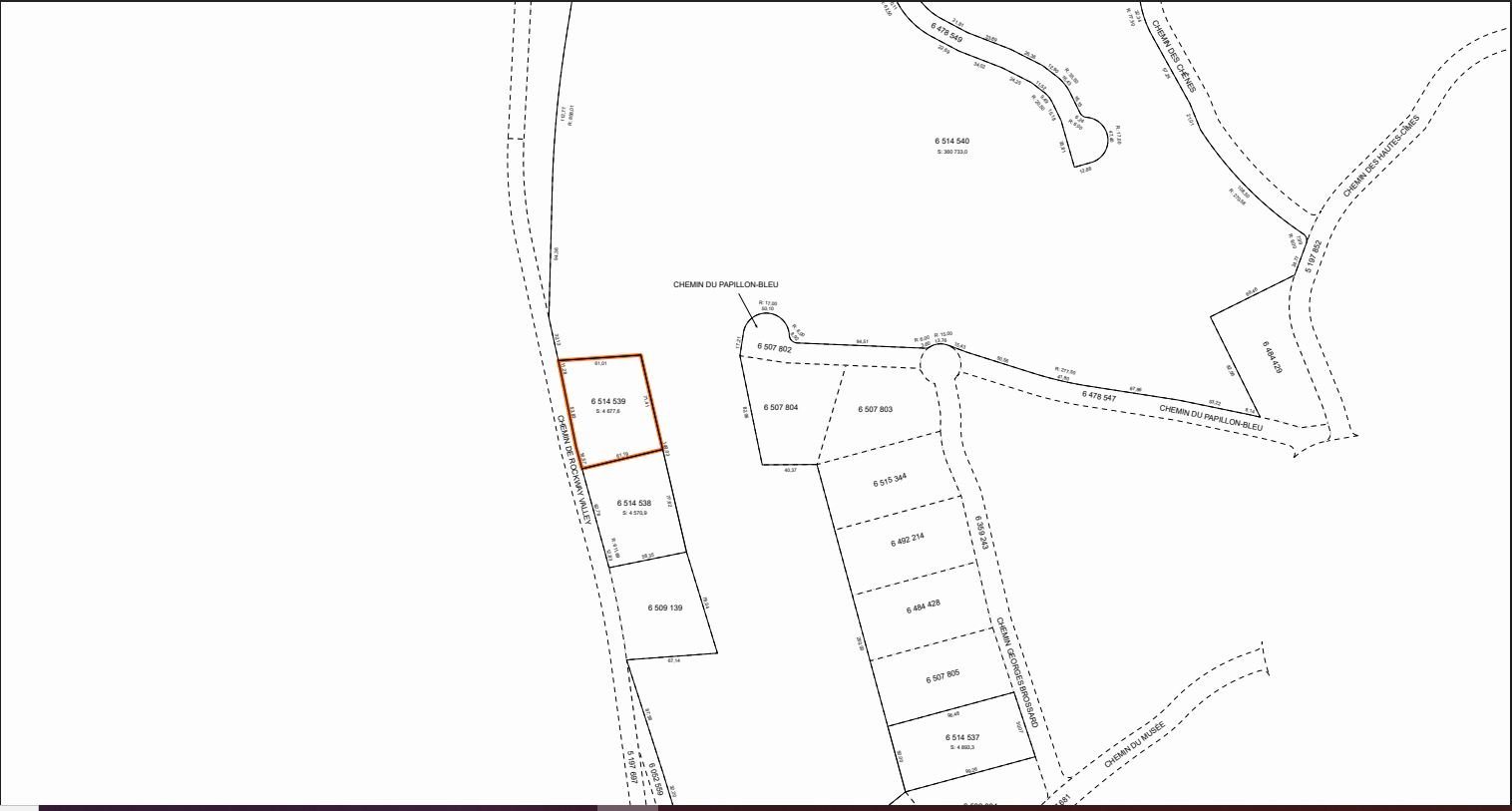
      , Ch. de Rockway Valley
      Amherst
      J0T2L0

      TV for sell

      MLS 14363950
      • Price 135 000$

      Photo gallery

      14363950-1
      14363950-2
      14363950-3
      14363950-4
      14363950-5

      Informations

      • Address , Ch. de Rockway Valley
      • City Amherst
      • Zipcode J0T2L0
      • Features
      • Special features
      • Inclusions
      • Addenda
      • Type of property Terrain
      • Zoning Land / Lot
      • Taking possession 30 days
      • Water supply None
      • Zoning Residential

      Dimensions

      • Front of terrain 81.68 m
      • Depth of terrain 61.19 m
      • Lot size 4470 Square Meters

      Fees and taxes

      • Common expenses/Rental 3 449$
      • Municipal Taxes 724$ (2025)
      • School taxes 55$ (2025)
      Total : 4 228$

      Municipal evaluation

      • Year 2025
      • Terrain 151 000$
      Total : 151 000$
      Room Level Dimensions Floor covering Additional information

    • Tel.: 514-572-1213

      ouertani.khoury@barnes-international.com

      www.viasamia.com

      Agence immobilière Barnes Québec
      1472 Rue Sherbrooke O
      Montréal, QC H3G 1L3

      • Blog
      • Our properties
      • Buy
      • Sell
      • Our family
      • Contact Us
      • Politique de confidentialité
      • Cookie Policy (CA)
      Manage Cookie Consent
      To provide the best experiences, we use technologies like cookies to store and/or access device information. Consenting to these technologies will allow us to process data such as browsing behavior or unique IDs on this site. Not consenting or withdrawing consent, may adversely affect certain features and functions.
      Functional Always active
      The technical storage or access is strictly necessary for the legitimate purpose of enabling the use of a specific service explicitly requested by the subscriber or user, or for the sole purpose of carrying out the transmission of a communication over an electronic communications network.
      Preferences
      The technical storage or access is necessary for the legitimate purpose of storing preferences that are not requested by the subscriber or user.
      Statistics
      Le stockage ou l’accès technique qui est utilisé exclusivement à des fins statistiques. The technical storage or access that is used exclusively for anonymous statistical purposes. Without a subpoena, voluntary compliance on the part of your Internet Service Provider, or additional records from a third party, information stored or retrieved for this purpose alone cannot usually be used to identify you.
      Marketing
      The technical storage or access is required to create user profiles to send advertising, or to track the user on a website or across several websites for similar marketing purposes.
      • Manage options
      • Manage services
      • Manage {vendor_count} vendors
      • Read more about these purposes
      View preferences
      • {title}
      • {title}
      • {title}